มะนาวบอกเราได้ว่าเริ่มเข้าฤดูหนาวแล้ว
ให้เพื่อนๆ สังเกตจากยอกมะนาว “ยอดมะนาวเปลี่ยนเป็นสีเขียวอมม่วง” เป็นสัญญาณชัดเจนตามธรรมชาติว่า ต้นมะนาว เริ่มรับรู้การเข้าสู่ฤดูหนาวแล้ว โดยเฉพาะถ้าเกิดช่วงปลายฝนต้นหนาว (ประมาณตุลาคม–พฤศจิกายน ในประเทศไทย)
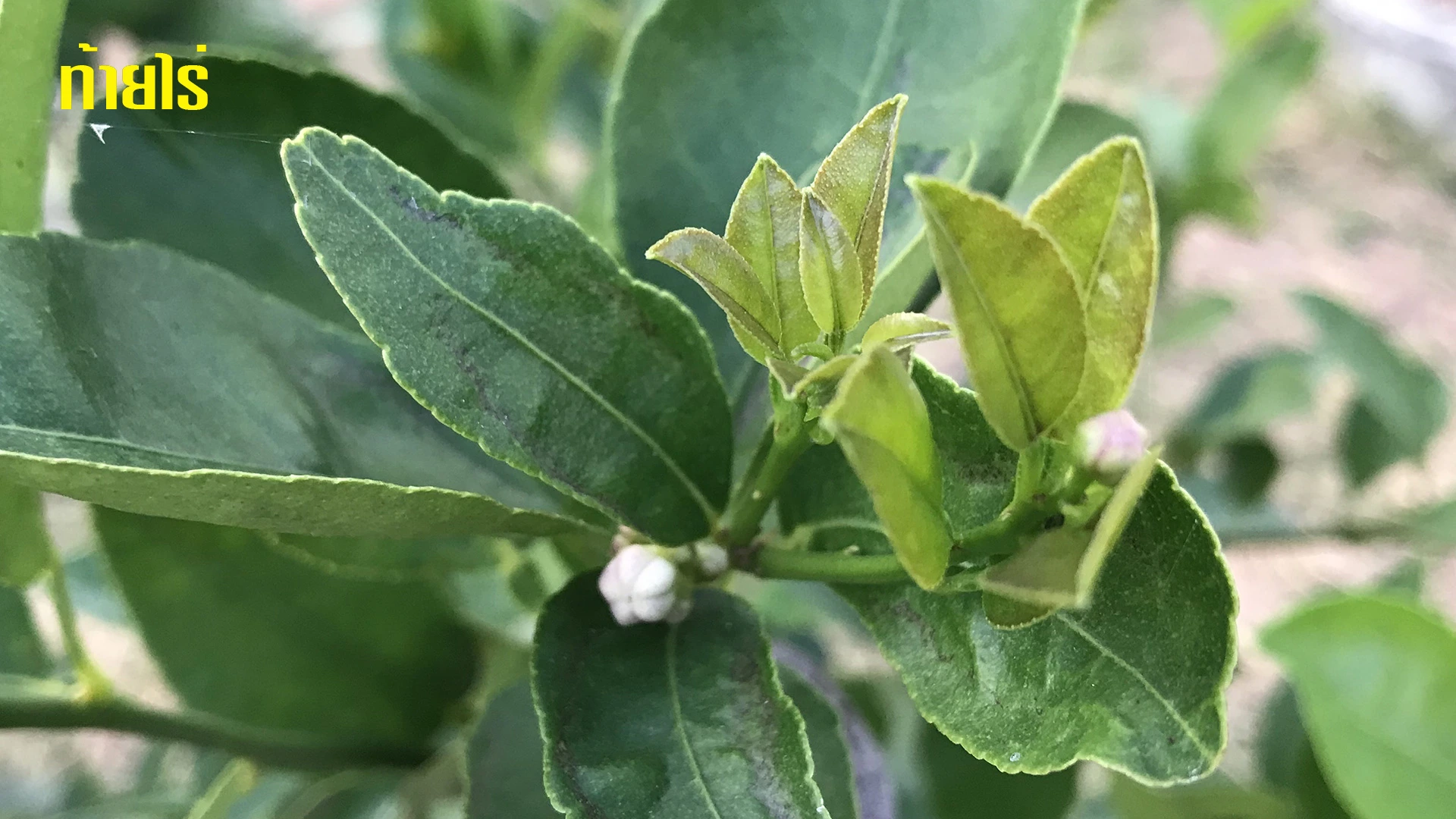
ทำไมยอดถึง “เขียวอมม่วง” เมื่อเข้าฤดูหนาว
สีม่วงที่เห็นนั้นเกิดจาก สารแอนโทไซยานิน (Anthocyanin) ซึ่งต้นมะนาวจะสร้างขึ้นเมื่อเจอ 3 เงื่อนไขหลักต่อไปนี้
1. อุณหภูมิลดลง ตอนกลางคืน (ต่ำกว่า 20 °C) มะนาวจะชะลอการสังเคราะห์คลอโรฟิลล์ แต่เพิ่มการสร้างแอนโทไซยานินเพื่อป้องกันความเย็นและแสงแรงตอนเช้า
2. แสงแดดจัดแต่ช่วงกลางวันสั้นลง ทำให้การใช้พลังงานของพืชไม่สมดุล จึงสะสมคาร์โบไฮเดรตและสารสีไว้ที่ยอด
3. ความชื้นลดลง น้ำในดินเริ่มแห้ง เป็นตัวกระตุ้นให้ต้นเข้าสู่ “โหมดพักตัวบางส่วน” (semi-dormant) ซึ่งเป็นขั้นตอนก่อนเริ่มสะสมอาหารเพื่อเตรียม “สร้างตาดอก”
ความหมายเชิงสรีรวิทยา
เป็นช่วงที่ C/N ratio เริ่มสูงขึ้น (คาร์บอนสะสมมากกว่าไนโตรเจน) ต้นมะนาวกำลังเข้าสู่ระยะ “สะสมอาหาร” หากดูแลถูกช่วงนี้ เช่น ลดน้ำ ควบคุมน้ำฝน งดปุ๋ยไนโตรเจน เสริมโพแทสเซียม+ฟอสฟอรัส จะช่วยเร่งให้ต้นมะนาว เปลี่ยนจากยอดใบ ไปสู่สู่การออกดอกได้เร็วขึ้น
บทสรุป
| ลักษณะสังเกต | ความหมาย |
|---|---|
| ยอดมะนาวเขียวอมม่วง | ต้นเริ่มรับรู้ความเย็น–แสงลด |
| ใบแข็งขึ้น ไม่ยืดตัว | เข้าสู่ช่วงพักตัวบางส่วน |
| ใบแก่สีเข้ม–หนา | สะสมอาหารเพื่อเตรียมออกดอก |
| กลางวันร้อน กลางคืนเย็น | ช่วงเหมาะสมกระตุ้นดอก |
40.2k @สงวนสิขสิทธิ์โดย สวนมะนาวท้ายไร่ จังหวัดพิจิตร