สาเหตุหลักที่หนอนชอนใบระบาดหนักในฤดูฝน

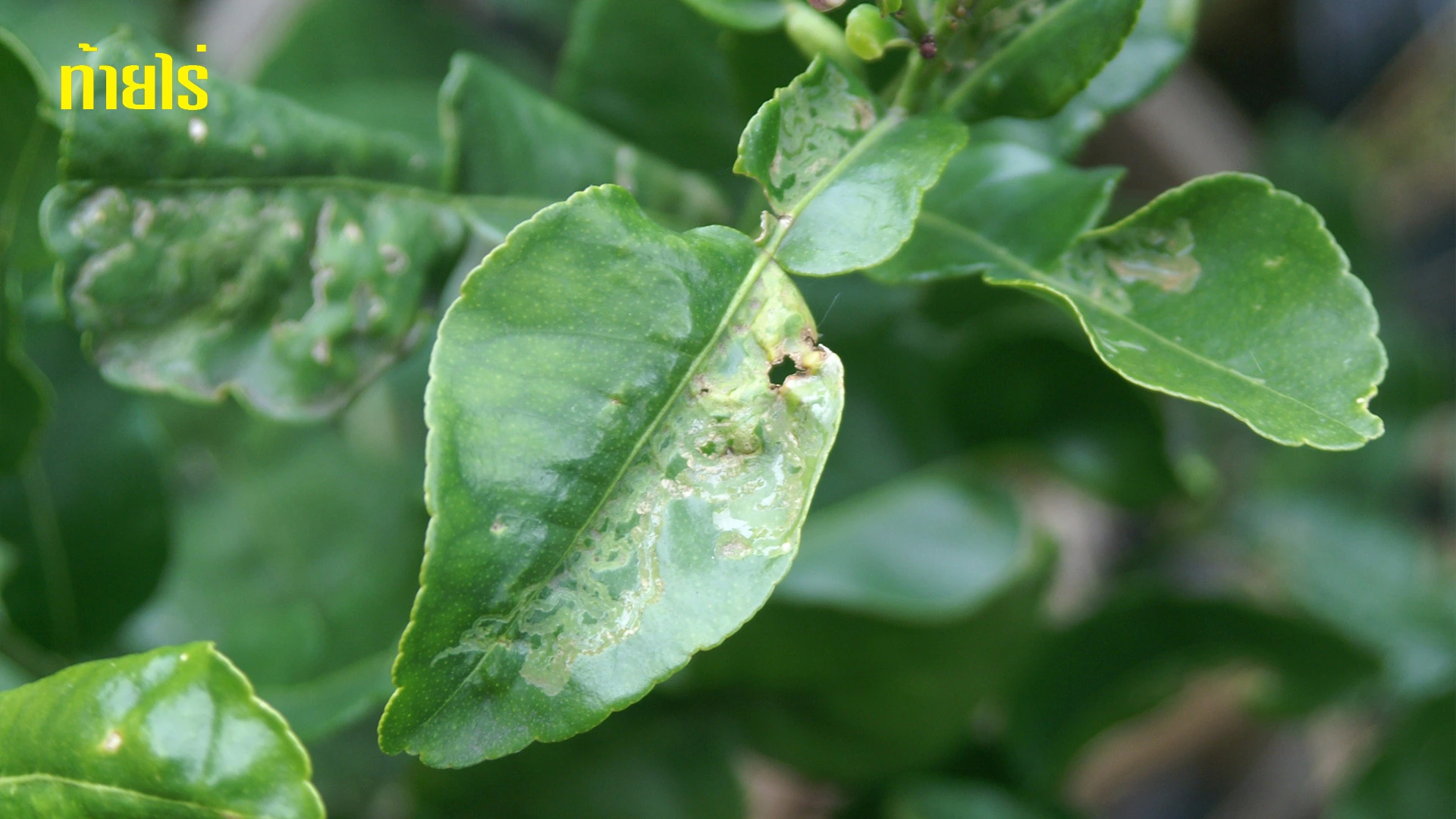
สาเหตุหลักที่ หนอนชอนใบมะนาว (Citrus leaf miner) ระบาดหนักในฤดูฝน เกิดจากหลายปัจจัยที่เอื้อต่อการเจริญเติบโตและการแพร่ระบาดของแมลงชนิดนี้ ได้แก่

1. มีใบอ่อนจำนวนมาก

• ฤดูฝนต้นมะนาวแตกยอดอ่อนพร้อมกันจำนวนมาก ซึ่งเป็นอาหารและที่อยู่อาศัยหลักของหนอนชอนใบ

2. ความชื้นและอุณหภูมิพอเหมาะ

• สภาพอากาศอบอุ่นและชื้นในฤดูฝนเหมาะสมต่อการเจริญพันธุ์ของตัวเต็มวัยและการฟักตัวของไข่

3. การแตกยอดถี่กว่าปกติ

• ฝนตกบ่อยทำให้มะนาวมีการแตกยอดใหม่เป็นระยะ ๆ ส่งผลให้หนอนมีอาหารต่อเนื่อง

4. ฝนชะล้างสารป้องกันกำจัดแมลง

• การพ่นสารเคมีหรือชีวภัณฑ์ถูกชะล้างออกไปง่ายในฤดูฝน ทำให้การป้องกันไม่ต่อเนื่อง

5. ศัตรูธรรมชาติถูกจำกัด

• ความชื้นสูงและฝนตกบ่อยทำให้แตนเบียนและแมลงตัวห้ำที่ช่วยควบคุมหนอนมีจำนวนลดลง

6. วงจรชีวิตสั้นและเพิ่มประชากรเร็ว

• ในสภาพอากาศเหมาะสม หนอนชอนใบสามารถแพร่พันธุ์และเพิ่มรุ่นได้เร็ว ทำให้การระบาดหนักขึ้น

กล่าวโดยสรุป: ฤดูฝนทำให้ต้นมะนาวแตกยอดอ่อนมาก ความชื้นและอุณหภูมิพอเหมาะ การป้องกันถูกชะล้างออก ศัตรูธรรมชาติลดลง จึงทำให้หนอนชอนใบระบาดหนัก

40.8k @สงวนสิขสิทธิ์โดย สวนมะนาวท้ายไร่ จังหวัดพิจิตร